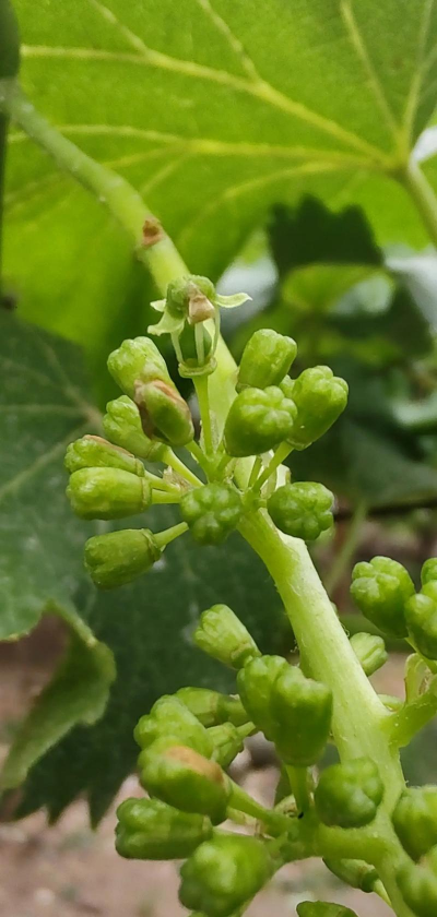
葡萄开什么意思的花
葡萄开指的是葡萄藤在生长过程中,花芽开始萌发并开花的过程。葡萄是一种多年生藤本植物,其花芽通常在春季开始萌发,经过一段时间的生长后,花朵才会开放。葡萄开花后,花粉会散播到空气中,经过授粉后,花托发育成果实,最终形成葡萄。
葡萄开花的过程通常分为以下几个阶段:
花芽萌发:在春季,葡萄的花芽开始萌发,花芽的鳞片逐渐展开,露出花蕾。
花蕾形成:花芽萌发后,花蕾逐渐发育,花萼、花瓣等结构逐渐形成。
开花:花蕾成熟后,花朵开放,花粉开始散播。
授粉:花粉与雌蕊的柱头接触,完成授粉过程。
果实形成:授粉成功后,花托发育成果实,葡萄开始生长。
葡萄开花是葡萄生长周期中的一个重要阶段,直接影响到果实的产量和品质。在农业管理中,适时施肥、灌溉、修剪等措施可以促进葡萄开花和结果。
寒兰红草怎么养
寒兰红草,通常指的是寒兰(如兰科植物中的寒兰属)和红草(如红草属),它们都是观赏植物,对环境要求较为严格。以下是它们的养护要点:寒兰:喜欢半阴环境,避免直射阳光,适合放在散射光充足的地方,如窗边或室内光线柔和处。红草:同样偏好半阴环境,忌强
· 2025-11-10
木槿花为什么不生长
木槿花不生长可能由多种因素导致,以下是常见原因及解决方法:土壤贫瘠 原因:土壤缺乏养分或排水不良。 解决方法:定期施肥,使用腐熟有机肥,改善土壤结构。土壤酸碱度不适宜 原因:土壤过酸或过碱。 解决方法:使用改良剂调节土壤pH值,如石
· 2025-11-10
蜘蛛抱蛋如何分株
蜘蛛抱蛋(也称蜘蛛抱蛋、蜘蛛抱蛋草)是一种常见的观赏植物,具有较强的繁殖能力,通常通过分株的方式进行繁殖。以下是分株的步骤和注意事项:蜘蛛抱蛋一般在春季(3-4月)或秋季(9-10月)进行分株,此时植物生长旺盛,有利于分株成活率。选择健康的
· 2025-11-10
红色家养花
红色家养花,通常指的是红色系的观赏花卉,这类花卉在种植和养护时需要注意以下几点:红色系花卉包括但不限于:红玫瑰、红郁金香、红风信子、红康乃馨、红大丽花、红鹤望春等。不同品种的红色花卉对光照、土壤和水分的需求有所不同,需根据具体品种选择适宜的
· 2025-11-10
贝壳可以养花
贝壳本身并不适合直接用来养花,因为它们的结构和化学成分不适合植物生长。不过,贝壳可以作为某些特定植物的生长介质或装饰材料,以下是一些相关的信息:使用场景:贝壳可以用于制作育苗基质,尤其是用于培育多肉植物、苔藓植物或某些特定的盆栽植物。注意事
· 2025-11-10
矮的虎皮兰怎么修剪
虎皮兰是一种常见的室内观赏植物,其株型紧凑,适合盆栽。对于矮的虎皮兰,修剪主要是为了保持其美观、促进新枝生长以及防止病虫害。以下是修剪的常见方法:定期检查虎皮兰的枝叶,去除枯黄、发黑或过长的枝条。这些枝条不仅影响植物的美观,还可能引发病害。
· 2025-11-10
如何让发财树固定生长
发财树(学名:Monstera deliciosa)是一种常见的室内植物,因其生长速度快、形态美观而受到欢迎。为了让发财树固定生长,可以采取以下方法:定期施肥:在生长季节(春夏)每月施一次液体肥料,浓度根据肥料说明调整,避免过量。营养均衡:
· 2025-11-10
茉莉花为什么叶子干
茉莉花叶子干可能是由多种原因引起的,以下是常见的原因及对应的解决方法:原因:茉莉花喜欢湿润但不积水的环境。如果浇水过多,会导致根部腐烂,叶子变黄、干枯;如果浇水过少,会导致土壤干燥,叶子失去水分而干枯。解决方法:控制浇水频率,保持土壤湿润但
· 2025-11-10
给发财树怎么施肥
给发财树施肥时,应根据其生长阶段和环境条件进行合理施肥,以保证其健康生长。以下是施肥的常见方法和建议:生长期:春夏季节是发财树的生长旺季,建议每2-3周施肥一次。休眠期:秋冬季节,发财树生长缓慢,应减少施肥频率,每月一次即可。液体肥料:选择
· 2025-11-10
金桔叶子不绿什么原因
金桔叶子不绿可能由多种因素引起,常见的原因包括:原因:缺乏氮、磷、钾等营养元素。解决方法:定期施肥,可使用复合肥或有机肥,根据生长阶段调整施肥频率。原因:浇水不当,导致根部缺氧或积水。解决方法:保持土壤湿润但不积水,避免长时间干旱或过度浇水
· 2025-11-10

