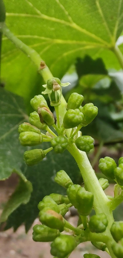
癞葡萄的花为什么这么香
癞葡萄(也称为“癞葡萄”或“野葡萄”)是一种常见的野生葡萄品种,其花具有较强的香味,这主要与以下因素有关:
1. 植物的自然特性
癞葡萄属于野生葡萄属,其花在自然环境中生长时,由于长期的自然选择,形成了较强的香味。这种香味有助于吸引传粉者,如昆虫,从而提高繁殖成功率。
2. 化学成分
癞葡萄的花中含有丰富的挥发性芳香化合物,如酯类、醛类和酮类物质,这些成分能够产生明显的香味。这些化学物质是植物为了吸引传粉者而进化出来的。
3. 生长环境
在自然环境中,癞葡萄生长在光照充足、气候适宜的区域,这些条件有利于其花香的形成和释放。
4. 品种特性
不同品种的癞葡萄可能具有不同的香味强度。有些品种的花香更浓郁,而有些则较为清淡。因此,癞葡萄的花香因品种而异。
其他可能的选择:
- 花期与环境因素:花期的长短、光照、温度等环境因素也会影响花香的强度。
- 植物健康状况:植物的健康状况、营养状况等也会影响花香的强度。
如果你对癞葡萄的种植、修剪、病虫害防治等方面有疑问,也可以继续提问。
向日葵盆有什么功効
向日葵盆在农业和园艺中具有多种功効,主要体现在以下几个方面:向日葵盆通常用于种植向日葵,其设计有助于植物根系的发育和养分的吸收。合理的盆体结构可以确保根系有良好的生长空间,同时避免积水导致的根部腐烂。向日葵盆通常具有良好的排水孔,有助于防止
· 2025-11-12
黄杨花是什么样子的花
黄杨花是一种常绿灌木,属于黄杨科黄杨属植物。它的花形较小,通常为黄色,花冠呈钟形,花期一般在春末至初夏,花朵密集,常形成小簇,非常美观,适合用于园林绿化或盆栽观赏。黄杨花的花色多样,有的品种花色为黄色,有的则为白色或淡红色,具体颜色因品种而
· 2025-11-12
栀子花大树干怎么修剪
栀子花在生长过程中,如果出现大树干(即主干过粗、生长过旺或老化),通常需要进行修剪以促进枝条分叉、改善通风和光照,以及控制植株大小。以下是修剪栀子花大树干的常见方法:促进分枝:去除主干,保留侧枝,使植株更加丰满。改善通风和光照:减少主干过密
· 2025-11-12
植物树叶向下了怎么办
植物叶片向下可能有多种原因,常见原因包括:原因:植物需要充足的光照才能进行光合作用,叶片向下可能是由于光照不足。解决方法:将植物移到光线充足的地方,如窗边或阳台,确保每天至少6小时的直射阳光。原因:植物在生长过程中,叶片可能向下生长,这属于
· 2025-11-12
有没有什么喜阴的花
当然有!喜阴的花卉通常适合在光线较弱或半阴的环境中生长,以下是一些常见的喜阴花卉及其特点:特点:耐阴、耐旱,适合室内光线不足的环境。适合环境:散射光、半阴环境。养护要点:保持土壤湿润,避免积水。特点:喜阴、耐寒,适合室内养护。适合环境:散射
· 2025-11-12
玫瑰花霜霉病用什么药
玫瑰花霜霉病是一种由真菌引起的常见病害,主要表现为叶片上出现褐色斑点,严重时会导致叶片枯黄、脱落。以下是防治玫瑰花霜霉病的常用药剂和方法:代森锌(硫磺锌):是一种常用的杀菌剂,适用于叶面喷施,可有效防治霜霉病。使用浓度一般为500-800倍
· 2025-11-12
风信子的球茎是什么颜色
风信子的球茎通常为白色或浅黄色,在种植过程中,球茎的颜色可能会因品种不同而有所变化。例如,某些品种的球茎可能呈现浅粉色或浅紫色,这取决于具体的品种和生长条件。一般来说,风信子的球茎在种植前会先进行晾晒和储存,以保持其活力和发芽能力。在种植时
· 2025-11-12
德育作业养花
在德育作业中养花是一项很好的实践活动,既能培养学生的动手能力,又能渗透自然教育和生活教育。以下是一些适用于德育作业的养花建议和指导:在德育作业中,可以选择一些易于照料、观赏性强、寓意美好的植物,例如:绿萝:耐阴、易养,适合室内环境。多肉植物
· 2025-11-12
苹果竹芋要死了怎么办
苹果竹芋(又名苹果草、竹芋属植物)是一种常见的室内观赏植物,通常生长在温暖、湿润的环境中。如果苹果竹芋“要死了”,可能是由于以下原因导致的,以下是应对措施:叶片发黄或枯萎:可能是缺水、光照不足、肥料过多或根部腐烂。土壤板结:说明土壤排水不良
· 2025-11-12
安徽的省花为什么是紫薇
安徽的省花是紫薇,这一选择具有一定的历史和文化背景。紫薇(学名:Lagerstroemia),又名“鸡冠花”,是一种常见的观赏植物,因其花朵形态独特、色彩丰富,常被用于园林绿化和庭院观赏。历史悠久:紫薇在安徽地区已有悠久的种植和栽培历史,早
· 2025-11-12

