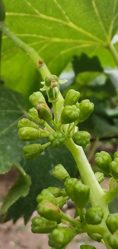
怎么看葡萄哪个枝开花
葡萄开花是植物生长的重要阶段,通常在春季进行。判断哪个枝条开花,主要依据以下几个方面:
1. 开花时间
葡萄通常在每年的4月至6月之间开花,具体时间因品种、气候和当年的生长状况而异。开花期一般在春季,此时枝条开始逐渐成熟,叶片展开,植株进入旺盛生长阶段。
2. 枝条的成熟度
开花的枝条通常是当年生的枝条,尤其是主干和侧枝。在葡萄种植中,通常会保留主干和侧枝,而结果枝(即当年生的、结果的枝条)会在开花后结果。
3. 枝条的形态
开花的枝条通常具有以下特征:
- 顶端成熟:枝条顶端的芽体成熟,形成花芽。
- 叶片展开:开花前,枝条上的叶片已经展开,枝条逐渐变粗。
- 枝条变硬:开花枝条通常比较硬,且颜色较深。
4. 开花的部位
葡萄的花通常着生于枝条的顶端,尤其是主干和侧枝的顶端。开花的枝条通常是从基部向上生长的,因此在修剪后,保留的枝条中,顶端的枝条更容易开花。
5. 修剪后的结果
在修剪后,葡萄植株通常会保留主干和侧枝,而结果枝则会在开花后结果。因此,开花的枝条通常是当年生的、未修剪的枝条。
其他可能的选择:
- 根据枝条的长度:较长的枝条可能更易开花,但并非绝对。
- 根据枝条的健康状况:健康的枝条更可能开花,而病弱枝条可能不结果。
- 根据品种特性:不同品种的开花时间、枝条类型和开花部位可能有所不同。
如果你有具体的葡萄品种或种植情况,可以提供更多信息,我可以为你进一步分析。
养花铁罐子
养花铁罐子是一种传统的花器,常用于种植多肉、盆栽或小型花卉。以下是关于养花铁罐子的相关信息和使用建议:材质:铁罐子通常由铁制成,表面可能有锈迹,但经过处理后可以使用。形状:常见的有圆形、方形、椭圆形等,适合不同植物的根系生长。透气性:铁罐子
· 2025-11-12
养花干旱死了
当花盆中的土壤过于干燥,导致植物缺水,通常会出现叶片发黄、萎蔫甚至枯死的情况。以下是一些应对干旱的建议:观察土壤表面:如果土壤表面干燥,且没有明显的水分残留,说明植物缺水。使用湿度计:如果条件允许,可以使用土壤湿度计来准确判断土壤是否干燥。
· 2025-11-12
竹子养花园
竹子作为观赏植物,具有独特的形态和生长特性,适合在庭院、阳台或室内种植。以下是关于竹子养花的常见问题及解答:竹子喜欢温暖、湿润的环境,适合在阳光充足、通风良好的地方种植。不同品种的竹子对光照和温度的要求略有差异,例如:毛竹:喜阴,适合半阴环
· 2025-11-12
虎皮兰叶子变黑怎么办
虎皮兰叶子变黑通常是由于多种原因引起的,常见的原因包括:浇水过多:虎皮兰不喜欢积水,浇水过多会导致根部烂掉,叶子变黑。光照不足:虎皮兰需要充足的光照,如果光线不足,叶子会变得暗淡、发黄,严重时会变黑。通风不良:通风差容易导致病虫害,影响叶片
· 2025-11-12
家里哪里养花
在家中养花可以考虑以下几个常见位置,根据植物的生长习性选择合适的位置:优点:光照充足,适合大多数植物生长。适用植物:多肉植物、绿萝、仙人掌、吊兰等。建议:保持通风良好,避免直射阳光过强。优点:光线较柔和,适合观赏性植物。适用植物:蝴蝶兰、文
· 2025-11-12
i仙人掌的花有什么用途
仙人掌的花在农业和园艺领域有多种用途,主要体现在以下几个方面:仙人掌的花通常色彩鲜艳,形态独特,具有很高的观赏价值。许多品种的仙人掌花在花艺装饰、园林景观设计中被广泛使用,尤其在节日、庆典或室内装饰中非常受欢迎。部分仙人掌花含有生物活性成分
· 2025-11-12
兰花开花结果有什么用
兰花开花结果在农业和园艺中具有多种用途,主要体现在以下几个方面:兰花是重要的观赏植物,其花朵美丽、色彩丰富,常用于园林、花艺装饰、展览和作为礼品。开花结果是兰花观赏价值的重要体现,尤其在花艺市场中具有很高的经济价值。部分兰花通过开花结果进行
· 2025-11-12
怎么给郁金香手动开花
郁金香是球根花卉,通常在春季种植,经过一段时间的生长后会自然开花。如果想手动帮助郁金香开花,可以采取以下方法:光照:郁金香需要充足的阳光,每天至少6小时以上的直射阳光。土壤:使用排水良好的土壤,富含有机质,pH值在6.0-7.0之间。温度:
· 2025-11-12
皱皮木瓜的根长什么样的
皱皮木瓜(Annona squamosa)是一种常见的热带水果,其根系在种植过程中具有一定的特点,通常表现为以下几种形态:皱皮木瓜的根系多为直根系,即主根较粗,侧根较细,根系分布较浅,通常在土壤表层附近。根系通常呈浅褐色或深褐色,表皮可能有
· 2025-11-12
特色养花盘
在养花过程中,选择适合的养花盘可以大大提升种植的乐趣和成功率。以下是几种常见的特色养花盘类型,适合不同需求的植物爱好者:1. 多肉植物养花盘多肉植物因其独特的形态和耐旱性,成为许多养花爱好者的选择。养花盘通常包含多种多肉植物,如:多肉植物组
· 2025-11-12

