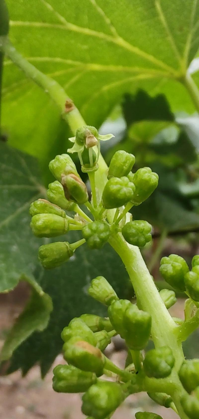
赖葡萄怎么开的都是公花
赖葡萄(也称作“赖葡萄”或“赖葡萄”)是一种常见的葡萄品种,通常在栽培过程中会出现公花和母花同时开放的现象。这种情况在葡萄种植中较为常见,尤其是在气候温和、光照充足、土壤肥沃的环境下。
一、赖葡萄开公花的原因
品种特性:赖葡萄本身是一种雌雄同株的植物,即同一植株上同时存在雄花和雌花。在适宜的条件下,两者都会开放。
光照和温度:葡萄对光照和温度非常敏感。充足的光照和适宜的温度可以促进雌花的发育,使果实能够正常成熟。
土壤条件:土壤的肥力、排水性和pH值也会影响葡萄的开花和结果。良好的土壤条件有助于植物健康生长,从而促进雌花的发育。
授粉条件:如果授粉条件良好,雌花会顺利受粉并发育成果实。如果授粉不足,可能会导致雌花无法正常发育,从而出现公花现象。
二、如何促进赖葡萄开花结果
加强光照:确保葡萄植株接受充足的阳光,每天至少6小时以上的直射光。
合理施肥:定期施加有机肥和化肥,尤其是磷、钾肥,以促进开花和结果。
控制水分:保持土壤湿润但不积水,避免积水导致根部腐烂。
合理修剪:适当修剪枝条,促进通风透光,改善光照条件,有利于雌花的发育。
人工辅助授粉:如果自然授粉不足,可以人工进行授粉,提高结实率。
三、公花与母花的区别
- 公花:没有雌蕊,无法受粉,无法发育成果实。
- 母花:有雌蕊,能够接受花粉,发育成果实。
四、其他可能的选择
- 选择适合的品种:根据当地气候和土壤条件选择适合的葡萄品种。
- 改善栽培管理:通过科学的管理和技术手段,提高葡萄的开花和结果率。
- 加强病虫害防治:防止病虫害影响葡萄的生长和开花。
如果你有具体的种植环境或问题,可以进一步提供信息,我可以为你给出更具体的建议。
兰花发芽了不见长怎么办
兰花在发芽后如果出现不见长的情况,可能是由于环境、养护不当或植物本身的问题。以下是常见的原因及对应的解决方法:- **原因**:兰花需要充足的光照才能正常生长,尤其是兰花在发芽后需要足够的光照促进叶片生长。- **解决方法**:将兰花放在光
· 2025-11-13
常见家中养花
1. 选择适合的花种根据光照条件选择:如阳光充足的地方适合种太阳花、向日葵;阴凉处适合种绿萝、吊兰。根据空间大小选择:小空间适合种多肉、绿萝;大空间适合种盆栽花卉、多肉植物。根据个人喜好选择:喜欢观赏的可选玫瑰、郁金香;喜欢清香的可选香草如
· 2025-11-13
玫瑰花的树枝怎么做
玫瑰花的树枝在农业和园艺中通常用于制作花枝、花架、花盆支架或作为装饰用途。以下是几种常见的做法:方法:将玫瑰花的枝条剪下,保留健康的芽点,插入湿润的土壤中,保持适当的湿度和光照,等待其生根。适用场景:适合用于扦插繁殖玫瑰,是常见且高效的方法
· 2025-11-13
茉莉花施肥过重怎么办
茉莉花施肥过重可能会导致植株生长不良、叶片发黄、花蕾脱落等问题。以下是处理施肥过重的建议:首先应立即停止施肥,避免进一步损伤植株。将土壤松开,促进根系透气,帮助多余养分排出,减轻根部负担。清除叶片上的枯黄部分,减少养分消耗,促进新叶生长。减
· 2025-11-13
养花用珍珠
珍珠在养花中通常不是直接用于植物的生长,而是指一种特殊的珍珠材料,常用于园艺装饰或作为土壤改良剂。以下是关于珍珠在养花中可能的应用和相关建议:作用:珍珠可以改善土壤的物理性质,如增加土壤的透气性和排水性,同时有助于调节土壤的酸碱度。使用方法
· 2025-11-13
春羽地栽后冬天怎么处理
春羽地栽后冬天的处理方法,主要涉及防寒、保温和适当修剪,以确保植株安全越冬。以下是具体建议:覆盖保温:在冬季来临前,将春羽植株周围覆盖一层厚厚的腐叶土或草木灰,以减少地温流失。若土壤较干,可适当补水。保护根部:将春羽移至室内或温室中,避免直
· 2025-11-13
花的叶子尖发黑怎么回事
花的叶子尖发黑可能是由多种因素引起的,常见的原因包括:叶斑病、黑斑病、炭疽病等病害会导致叶子尖变黑。真菌或细菌感染是常见原因,尤其在潮湿、通风不良的环境下容易发生。蚜虫、红蜘蛛、介壳虫等虫害会啃食叶子,导致叶子尖发黑。需要检查叶片背面是否有
· 2025-11-13
千叶吊兰花干了怎么办
千叶吊兰(也叫千叶吊兰或吊兰)在生长过程中,如果出现叶片干枯的情况,通常是由于浇水不当、通风不良、光照不足或土壤排水不畅等原因造成的。以下是处理千叶吊兰干枯叶片的建议:干枯叶片通常是由于土壤过于干燥或浇水过少导致的。如果土壤干燥,需要及时浇
· 2025-11-13
屋顶养花违法
屋顶养花在许多国家和地区是合法的,但具体是否合法取决于当地的法律法规。以下是一些常见情况的分析:多数国家允许:在许多城市,屋顶绿化是被鼓励的,尤其是绿色屋顶(green roof)项目,有助于隔热、雨水管理、美化环境等。部分地区限制:在一些
· 2025-11-13
养的花上有尺蠖怎么办
花上的尺蠖(也叫尺蠖虫)是一种常见的害虫,通常会蛀食植物的叶片,造成植物受损。以下是处理尺蠖的常用方法:人工捕捉:如果尺蠖数量较少,可以用软布或纸巾轻轻捕捉,尤其是幼虫阶段。喷洒酒精水:用酒精(75%)与水按1:3的比例喷洒在受害叶片上,可
· 2025-11-13


