葡萄如何开花呗
葡萄开花是葡萄生长过程中非常重要的一环,通常在春季开始,具体时间因品种和气候而异。以下是葡萄开花的一般过程和注意事项:
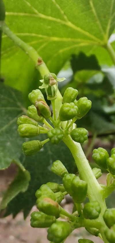
一、葡萄开花的基本过程
花芽形成:
在秋季,葡萄植株会形成花芽,这是葡萄开花的基础。花芽的形成与土壤温度、养分状况和植株健康密切相关。花芽开放:
花芽在春季开始开放,通常在3月至4月间。开花时,花芽会逐渐展开,形成花蕾。花蕾发育:
开花后,花蕾逐渐发育成花序,花序内部会形成花苞,经过一段时间后,花苞会发育成花朵。开花与授粉:
葡萄花是虫媒花,通常需要昆虫(如蜜蜂)进行授粉。授粉成功后,花序会发育成果实。
二、影响葡萄开花的因素
气候条件:
温度、光照和降雨量都会影响葡萄的开花和结果。适宜的温度(通常为15-25℃)和充足的光照是开花的关键。土壤条件:
土壤肥沃、排水良好、富含有机质,有助于葡萄植株健康生长,促进花芽形成。养分状况:
葡萄植株在生长过程中需要充足的氮、磷、钾等营养元素,尤其是开花期,营养供给充足有助于花芽形成和开花。植株健康:
植株的健康状况、修剪方式、病虫害防治等都会影响开花结果。病害或虫害会抑制花芽形成。
三、促进葡萄开花的方法
合理施肥:
在开花前1-2个月,施加氮肥,促进植株生长,为花芽形成打下基础。加强水分管理:
保持土壤湿润,但避免积水,有助于葡萄植株健康生长。适当修剪:
修剪过密枝条,改善通风透光条件,有利于花芽形成和开花。人工辅助授粉:
如果自然授粉不足,可人工辅助授粉,提高结实率。调节光照:
适当增加光照时间,有助于花芽发育和开花。
四、注意事项
- 避免过量浇水:开花期若水分过多,可能影响花芽发育。
- 注意病虫害防治:及时防治病虫害,避免影响花芽形成。
- 合理修剪:修剪过密枝条,改善通风透光,有利于花芽形成。
如有具体品种或种植环境,可进一步提供信息,以便给出更具体的建议。
什么花用什么料
在花卉种植中,不同种类的花对养分的需求不同,选择合适的肥料是保证花卉健康生长的关键。以下是几种常见花卉及其推荐的肥料类型,以及使用方法:推荐肥料:液体肥料(如稀释的水溶肥)或缓释肥。使用方法:每 2-3 周施一次,浓度根据肥料说明调整,避免
· 2025-11-09
养花不扎很
养花不扎很,通常是指植物在生长过程中出现茎部变细、茎部变软、植株矮小等情况,这可能是由于植物生长不良、土壤贫瘠、浇水不当、肥料不足或病虫害等问题引起的。以下是几种常见的解决方法:土壤贫瘠:定期更换或改良土壤,增加有机质含量,如添加腐熟的堆肥
· 2025-11-09
如何选择麒麟掌
选择麒麟掌时,可以从以下几个方面进行判断,以确保选购到健康、优质的植株:叶片状态:健康的麒麟掌叶片应饱满、光滑、颜色鲜绿,无黄叶、枯斑或虫害。叶片边缘应整齐,无破损。茎部状态:茎部应粗壮、挺拔,颜色深绿,无斑点或腐烂。花苞状态:若为开花阶段
· 2025-11-09
什么有什么吊兰
吊兰是一种常见的室内观赏植物,因其适应性强、养护简便而被广泛种植。以下是关于吊兰的一些常见问题和解答:光照:吊兰喜欢明亮的散射光,但也能适应低光照环境。避免阳光直射,否则会灼伤叶片。温度:适宜温度为 15-25℃,冬季需保持温度不低于 5℃
· 2025-11-09
多肉怎么选盆
选择合适的花盆是多肉植物健康成长的关键之一。以下是一些选择多肉盆栽的建议:陶盆:透气性好,排水性强,适合多肉植物,有助于根系健康。塑料盆:轻便、成本低,但透气性较差,容易积水,适合排水良好的土壤。瓷盆:美观,但透气性差,需注意排水。其他材质
· 2025-11-09
养狗怎么养花
养狗和养花是两种不同的生活需求,养狗主要关注的是宠物的健康、行为管理和日常照顾,而养花则更注重植物的生长、养护和观赏价值。因此,养狗和养花并不直接相关,但如果你是想在家中同时养狗和花,可以考虑以下几点:养狗:主要关注狗的饮食、运动、训练、健
· 2025-11-09
树什么什么齿
关于“树什么什么齿”的问题,可能需要更具体的上下文来准确回答。在农业或养花领域中,常见与树相关的内容包括:树形修剪:如“树形修剪齿”可能指修剪工具或修剪方法。树种选择:如“树什么什么齿”可能指某种树种的名称或特征。树干护理:如“树干齿”可能
· 2025-11-09
冰玉露怎么养
冰玉露是一种常见的多肉植物,因其叶片呈冰玉色而得名。它喜欢温暖、干燥的环境,适合在阳光充足的地方生长。以下是冰玉露的养护方法:适宜光照:冰玉露需要充足阳光,每天至少6小时以上的直射光。光照不足:会导致叶片变小、颜色变淡,甚至枯黄。浇水频率:
· 2025-11-09
花盆里养花
花盆里养花是种植花卉的重要基础,以下是一些关于花盆里养花的常见问题和建议,帮助您更好地照顾您的植物:材质:常见材质包括陶盆、塑料盆、陶土盆等。陶盆透气性好,适合大多数植物;塑料盆轻便,适合多肉或盆栽植物;陶土盆保水性强,适合喜湿的植物。大小
· 2025-11-09
兰催什么什么
兰株在生长过程中需要适当的养分和环境条件,以下是一些常见的兰株生长需求及对应的养护方法:1. 光照要求:兰株需要充足的光照,但不同品种对光照的需求略有不同。建议:每天提供6-8小时的散射光,避免直射阳光,防止叶片灼伤。2. 温度要求:兰株适
· 2025-11-09


