冬桃蚜虫防治技术
近几年来由于冬春季节干旱严重,早春冬桃花芽及新稍蚜虫危害严重,给冬桃的产量和品质造成了一定的影响。
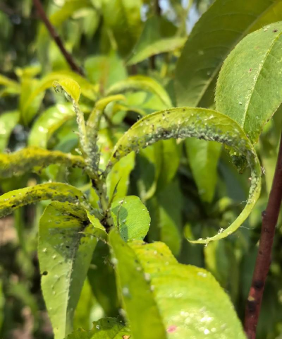
危害桃树的蚜虫主要有桃蚜、桃粉蚜、桃瘤蚜3种。其中以桃蚜危害最普遍。
桃蚜一年发生10―20代,食性杂,冬季以卵在树枝的芽腋、树皮缝隙及枝桠处越冬,次年萌芽时卵开始孵化群集在芽上危害,开花、展叶后又转移危害花、叶,在此危害期以孤雌生殖繁殖。被害叶背面卷缩,严重时造成大量落花落叶。给冬桃的产量造成了一定的影响。
防治方法:
1、冬季清除果园杂草,刮去老树皮,在萌芽前喷波美5度石硫合剂,杀死蚜虫越冬虫卵。
2、谢花后喷一次蚜虱净2000倍液或喷5%高效氯氢菊酯乳油2000―3000倍液进行防治。
3、保护七星瓢虫、大草蛉等天敌。在天敌活动期尽量不喷农药。
大叶紫薇斑点病的防治方法
1.症状大叶紫薇斑点病发生后,被害叶片初期在下面出现散生淡黄色小圆斑,随后扩大为圆形、近圆形或不规则形,灰褐至灰白色斑点,有时病点相互结成大斑块。病斑边缘稍凸起,后期病部上散生稀疏的小黑点。2.病原及发病特点半知菌亚门腔孢纲球壳孢目的Phy
· 2025-10-17
碧桃穿孔病的症状及防治措施
碧桃褐斑穿孔病主要危害碧桃的叶片,也能危害新梢。常造成叶片上出现不同大小近似圆形的或不规则的孔洞,影响美观,也影响植株的光合作用,严重时叶片脱落。同时,该病也危害桃树、樱花、梅、李、杏等。症状病株叶片首先出现红褐色小斑,随后逐渐扩展为圆形或
· 2025-10-17
山茶根腐病的症状及防治
症状山茶根腐病发生后,受害植株根部腐烂变黑,叶片变黄,梢尖死亡,花芽掉落,植株逐渐凋萎死亡。发生规律病原菌以菌核在土壤或病株上越冬。翌年春天,当温湿度适宜时,菌核萌发菌线,在土壤中蔓延,侵害植株根部。防治方法选择抗病能力强的茶花品种进行栽培
· 2025-10-17
黄杨病虫害的症状及防治
症状:患病的大叶黄杨最初只是个别枝条和全株叶片枝条呈青枯失水状,发病后期叶片呈黄白色,传染严重的会导致植株死亡。 防治方法:1、加强疫情检查,严防带病植株进入非疫区;2、加强肥水管理,提高植株抗病力,栽培地应保持湿润,但不能积水;3、如发现
· 2025-10-17
牡丹红叶病的防治方法
牡丹红叶病是牡丹常见病害之一,牡丹叶子刚开绐周边变红,叶子逐渐全红,严重时导致枯死。防治方法:1.生长季节,零星病芽、病叶、病枝、病花、病果及时摘除,深埋或烧毁,不喷药防治。2.秋冬季节,清理树盘,清除枯枝叶等病残体。3.用45%固体石硫合
· 2025-10-17
兰花线虫病的防治方法
兰花的线虫是一种兰科植物的寄生虫病害。属线形动物门,线虫纲,垫刃线虫科。兰花的线虫,成虫体型呈线状长圆柱形,两端尖且细,不分节,体由三胚层组成,有原体腔。线虫卵很细小,最小的只有1微米。落入植料中的虫卵,于植料潮湿时吸水膨胀,幼虫溢出后侵入
· 2025-10-17
月季根结线虫病的防治方法
月季根结线虫病寄主较广泛,除为害月季外,还可为害唐菖蒲、非洲菊、仙客来等多种花卉。症状受害植株侧根和须根形成许多单生小结瘤,结瘤初色淡光滑,后变褐色粗糙。切开瘤组织,可见有白色发亮点粒,即为雌成虫。植株地上部分生长不良,切花产量、质量下降。
· 2025-10-17
桂花白绢病的发生及防治
发病症状在距地表5-l0cm处,主要危害根,使根表面产生白色菌丝,根皮如水渍状褐色斑,把根全部覆盖白色菌丝层,严重时根皮全部腐烂,流出褐色汁,末期呈茶褐色油菜籽状的菌核,地上部死亡。防治方法加强排水,中耕除草,施有机肥料。土壤通透性好,提高
· 2025-10-17
小蓟灰斑病的防治方法
小蓟灰斑病的防治方法--小蓟CirsiumsegetumBunge别名刺儿菜、曲曲菜、山牛劳、野红花等,属菊科多年生草本植物,以带花全草或根状茎入药,具凉血、行瘀、止血之功效,分布在全国。灰斑病是小蓟上重要病害,各地广泛发生。症状主要危害叶
· 2025-10-17
水仙鳞茎基腐病的防治方法
分布与危害水仙鳞茎基腐病发生后使水仙长出的植株矮化,叶短小、呈浅黄绿色,很小生根或不生根,这种植株不久即枯死。症状该病主要发生在植株地下部分,地上茎叶也有发生。生长期间,首先是地下部分感病,根系变褐色,呈水渍状腐烂,鳞茎基盘处出现褐色斑点并
· 2025-10-17

