板栗树防治病虫害措施,识别常见问题,掌握有效方法
你是不是也种了板栗树,但总担心病虫害,其实,很多朋友都有这个困扰,叶子发黄,果实长虫,看着就心疼,所以,今天咱们就来聊聊,怎么给板栗树防病治虫。
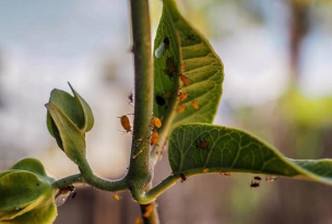
先看识别常见虫害
板栗树最常见的,就是栗实象甲,它们会钻进栗子里,然后,果实就坏掉了,还有栗瘿蜂,它会让嫩枝长瘤,影响树木生长,另外,天牛幼虫也很麻烦,它们藏在树干里,慢慢啃食木质部,所以,第一步要做的,就是学会辨认,看到栗子有小孔,或者枝条有瘤状物,就要警惕了。
再看预防病害发生
病害方面,栗疫病比较厉害,也叫干枯病,树干上会出现溃疡斑,然后树皮会腐烂,还有白粉病,叶子表面像撒了面粉,影响光合作用,预防的关键,在于增强树势,平时要合理施肥,特别是多施有机肥,同时,要保持园内通风透光,及时修剪过密枝条,这样,树木抵抗力强了,自然不容易生病。
然后说物理与生物防治
对付虫害,不一定全靠农药,比如,可以悬挂杀虫灯,诱杀成虫,效果就不错,或者,在树干上绑草把,引诱害虫过来产卵,然后集中处理掉,生物防治也很好,可以保护利用天敌,比如瓢虫和寄生蜂,它们能吃掉很多害虫,这样,对环境更友好,也更安全。
最后谈化学药剂使用
如果病虫害严重了,那就要用药了,但用药要科学,不能乱喷,要选对药剂,针对不同的虫或病,要用不同的药,要掌握好时机,比如在害虫幼虫期喷药,效果最好,而且,要注意轮换用药,防止害虫产生抗药性,喷药时,一定要均匀周到,叶背也要喷到。
防治病虫害是个系统活,要从识别开始,然后做好预防,多采用物理和生物方法,必要时科学用药,只要你用心管理,板栗树就能健康生长,结出饱满的果实。
无土栽培培训,掌握核心技术,轻松上手种植
你想学无土栽培吗,很多人都有这个想法,但不知道从哪里开始,其实,无土栽培并不神秘,它只是一种种植方式,通过培训,你就能掌握它,今天,我们就来聊聊,无土栽培培训的那些事。先看培训内容讲什么好的培训,内容一定很全面,它会从基础讲起,比如,什么是无土栽培,它有哪些优点,然后,会介绍不同的系统,比如水培和基质培,接着,会教你配置营养液,这是关键的一步,还会讲解日常管理,比如光照和温度控制,这样学下来,你心
· 2026-04-03
未丽花怎么养,新手入门指南,轻松掌握养护技巧
你是不是刚买了未丽花,却不知道怎么养,别担心,很多人都有这个困惑,养花看似简单,其实需要一点小技巧,今天,我们就来聊聊未丽花的养护方法,让你轻松上手,看着它茁壮成长。先看选盆与土壤养未丽花,第一步很关键,那就是选对花盆和土壤,花盆不能太大,也不能太小,要适中,最好选择有排水孔的盆,这样浇水多了也不怕,土壤要疏松透气,你可以买专用的营养土,也可以自己配,比如用腐叶土加些河沙,这样根部才能呼吸顺畅。再
· 2026-04-03
棕榈树炭疽病的防治,识别早期症状,掌握有效方法
你是不是发现,家里的棕榈树叶子,突然长出了斑点,那些斑点,开始是黄褐色,后来慢慢扩大,甚至叶子都枯了,这很可能,就是炭疽病在作怪,别太担心,今天我们就聊聊,怎么对付它。先看症状识别炭疽病初期,叶片上会出现,一些小小的斑点,颜色是黄褐色,或者淡黄色,随着病情发展,斑点会扩大,形状不太规则,边缘有时发暗,病斑中间呢,可能会干枯,甚至穿孔,严重的时候,整片叶子,都会枯萎发黄,提前脱落。再看发病原因这种病
· 2026-04-03
厂区绿化设计方案,提升环境品质,优化员工体验
你想改善厂区环境吗,很多管理者都有这个想法,但不知从何入手,其实,一份好的绿化方案,能带来很多好处,它不只是种几棵树,更是整体规划,今天,我们就聊聊关键点。先看整体布局规划绿化不是随意点缀,首先要考虑厂区功能,生产区域周围,适合种植抗污染树种,办公和生活区域,则可以更美观一些,同时,要预留出消防通道,确保安全第一,还要考虑未来扩建,给绿化留出弹性空间。再看植物品种选择选对植物很重要,厂区环境比较特
· 2026-04-03
石槲花怎么养,掌握关键技巧,轻松养活它
你是不是也喜欢石槲花,但总担心养不好,其实,养好它并不难,关键是要懂方法,很多人养不好,往往是因为忽略了一些细节,今天,我们就来聊聊,怎么才能把石槲花养得又健康又漂亮。先看选苗和上盆养花的第一步,就是选对苗,选石槲花苗时,要挑叶片饱满的,根系健康的,不要选叶子发黄,或者根都烂了的,买回家后,别急着换盆,先让它适应几天环境,然后准备透气好的植料,比如水苔、树皮块,这些材料排水好,石槲花的根最喜欢。再
· 2026-04-03
龙眼树病虫害防治论文,常见问题解析,实用防治方法
你是不是也遇到过,龙眼树叶子发黄,果实长斑,甚至整棵树枯萎,这些问题让人头疼,其实,龙眼树病虫害防治,是果农们最关心的话题,今天,我们就来聊聊,怎么有效防治这些病虫害。先看常见病害识别龙眼树病害,主要有炭疽病和霜疫霉病,炭疽病症状很明显,叶片上会出现,圆形或不规则病斑,病斑颜色是褐色的,边缘还有黄晕,果实受害后,也会长黑褐色斑点,最终导致落果,霜疫霉病则不同,它危害花穗和幼果,受害部位像水烫过,表
· 2026-04-03
道路绿化设计师,打造城市风景,提升出行体验
很多人好奇,道路绿化设计师,到底在做什么,其实,他们的工作,远不止种树,他们要考虑的,其实非常多,比如,如何让道路更美,如何让环境更好,甚至,如何让开车的人,心情更舒畅,今天,我们就来聊聊,这个职业背后的故事。先看道路绿化的核心目标道路绿化,可不是随便种点花草,它的首要目标,是安全,设计师要确保,植物不会遮挡视线,不会影响交通标志,才是美观和生态,比如,选择适合的树种,营造舒适的景观,同时,还要考
· 2026-04-03
缘罗花怎么养,掌握关键技巧,轻松培育健康植株
你是不是刚买了缘罗花,却不知道如何下手,其实,养好它并不难,关键在于掌握几个核心要点,今天,我们就来聊聊,怎么把缘罗花养得枝繁叶茂。先看光照需求缘罗花喜欢明亮的散射光,千万别把它放在太阳下暴晒,否则叶子很容易被晒伤,当然,也不能放在太阴暗的角落,那样它会生长缓慢,甚至不开花,最好的位置是朝东或朝北的窗台,那里光线柔和,非常适合它生长。再看浇水方法浇水是养护中的大学问,缘罗花喜欢湿润,但特别怕积水,
· 2026-04-03
石榴树烟蓟马的防治,识别关键症状,掌握有效方法
你是不是发现,石榴叶子有点不对劲,上面好像有银色斑点,或者叶子卷曲变形了,这很可能就是烟蓟马在捣乱,这种小虫子很讨厌,专门吸食嫩叶和幼果的汁液,影响石榴生长和结果,今天我们就来聊聊,怎么对付它们。先看症状识别烟蓟马危害初期,症状不太明显,你需要仔细观察叶片背面,特别是嫩梢和新叶,常常能看到极小的、淡黄色或褐色的虫体在爬动,它们非常小,大约只有1到2毫米长,不仔细看很容易忽略,被危害的叶片正面,会出
· 2026-04-03
日式绿化庭院设计,打造宁静空间,融入自然元素
很多人喜欢日式庭院,觉得它很安静,很舒服,但真到自己动手,又不知道从哪里开始,其实,日式绿化庭院设计,核心在于营造一种氛围,一种让人放松的感觉,它不只是种几棵树,或者放几块石头那么简单,今天,我们就来聊聊,怎么把这种宁静的感觉,带进你的小院里。先看空间布局的讲究日式庭院讲究留白,不会把空间塞得满满的,你需要先规划好,哪里是主景,哪里是步道,哪里可以坐下来休息,比如,用蜿蜒的小径引导视线,让人慢慢探
· 2026-04-03


