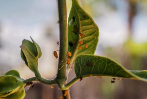
板栗树防治,常见病虫害,有效应对方法
你是不是也种了板栗树,但最近发现叶子发黄,或者果实长不好,这很可能就是病虫害在捣乱,别担心,今天我们就来聊聊,板栗树防治那些事儿,其实,只要方法得当,问题不难解决。
先看板栗树常见病害板栗树容易得干枯病,也叫胴枯病,树干上会出现黄褐色斑点,然后慢慢扩大,树皮会凹陷,甚至开裂,严重时整棵树都会枯死,还有白粉病,叶片上像撒了层白粉,影响光合作用,导致树势衰弱,果实产量下降,炭疽病也常见,主要危害果实,果皮上出现褐色病斑,最终果实会腐烂脱落。
再看板栗树常见虫害虫害方面,栗实象甲是头号敌人,它的幼虫会钻进栗子里,把果肉吃空,只留下空壳,栗瘿蜂也很讨厌,它会让嫩枝和叶片,形成一个个虫瘿,就是小瘤子,影响新梢生长,还有桃蛀螟,它不仅危害桃子,也喜欢板栗,幼虫会蛀食栗蓬和果实,造成大量落果。
防治病害的具体做法对于干枯病,首先要加强管理,增强树势,提高抗病能力,发现病斑要及时刮除,刮到好皮为止,然后涂抹杀菌剂,比如石硫合剂,白粉病的防治,可以在发病初期,喷洒三唑酮等药剂,同时注意清理,果园里的落叶和病枝,减少病菌来源,炭疽病防治,重点在果实生长期,定期喷施保护性杀菌剂。
防治虫害的具体做法对付栗实象甲,关键在成虫期,利用它的假死性,可以震落捕杀,或者在树下铺塑料布,然后集中处理,药剂防治的话,可以在成虫产卵前,喷施高效氯氰菊酯,栗瘿蜂的防治,主要靠修剪,冬季剪除虫瘿枝,并集中烧毁,减少虫源基数,桃蛀螟的防治,要清理果园周围的,寄主植物如玉米秆,药剂可选用甲维盐。
综合防治与日常管理防治不能只靠打药,综合管理更重要,首先要选择,抗病性强的品种,从源头上减少问题,合理施肥浇水,让树长得壮实,自然少生病,保持果园通风透光,及时修剪过密枝条,创造不利病虫的环境,秋冬季节,彻底清园,把落叶、落果、病枝,全部清理干净,深埋或烧掉。
板栗树防治,是个系统工作,需要耐心和细心,平时多观察,早发现早处理,别等严重了再动手,结合农业防治,物理防治和化学防治,你的板栗树,一定能健康生长,硕果累累。
iris花怎么养,掌握关键技巧,轻松养出好状态
很多人喜欢iris花,但养起来总出问题,叶子发黄,开花少,其实,养好它并不难,关键要懂方法,今天,我们就聊聊,iris花到底怎么养。先看选苗与土壤选苗很关键,要挑根系健壮的,叶子翠绿无斑点的,这样成活率高,土壤要疏松透气,可以用腐叶土,混合河沙,再加点底肥,这样排水好,根不烂。再看光照与温度iris花喜光,但怕暴晒,春天秋天,可以全日照,夏天中午,要适当遮阴,不然叶子易灼伤,温度方面,它耐寒不耐热
· 2026-04-04
绿化作业设计,提升校园环境,优化学习空间
想做好绿化作业设计,其实并不难,很多人觉得,这需要专业背景,其实不然,只要掌握几个要点,你也能轻松上手,今天,我们就来聊聊,怎么把这件事做好。你得明确目标,绿化为了什么,是为了美观,还是为了实用,或者两者兼顾,比如校园绿化,就要考虑,学生的活动空间,老师的休息区域,以及整体的美观性,目标清晰了,设计才有方向。接着,是实地考察,别急着画图,先去看看现场,看看光照怎么样,土壤条件如何,有没有大树需要保
· 2026-04-04
黄树防治,常见问题,解决方向
你是不是也发现,家里的黄树叶子发黄了,看着就让人着急,其实,黄树防治并不难,关键是要找准原因,今天,我们就来聊聊,黄树到底怎么了,又该怎么救。先看浇水问题黄树叶子发黄,最常见的原因就是浇水不当,浇水太多,根部会烂掉,叶子自然就黄了,浇水太少,树会缺水,叶子也会变黄,所以,浇水要适量,不能太勤,也不能太懒,你可以摸摸土壤,干了再浇,浇就浇透。再看光照情况光照太强或太弱,都会让黄树不舒服,如果阳光太猛
· 2026-04-04
桑花怎么养,新手入门指南,轻松上手不踩坑
你是不是也想养桑花,但是又怕养不好,其实,养桑花并不难,只要掌握几个关键点,就能让它长得很好,今天,我们就来聊聊,桑花到底该怎么养。先看光照要求桑花喜欢阳光,但是不能暴晒,最好放在光线明亮的地方,比如朝南的阳台,或者窗台边上,每天保证有4到6小时的光照,这样它才能开花,如果光照不足,它可能只长叶子,不开花,所以,光照是第一步。再看浇水技巧给桑花浇水,要掌握一个原则,那就是见干见湿,什么意思呢,就是
· 2026-04-04
小游园绿化设计,提升空间美感,营造舒适环境
很多人想设计小游园,但不知从何下手,其实绿化设计很关键,它直接影响整体效果,今天我们就聊聊,小游园绿化该怎么做。先看植物选择植物是绿化的主角,选对品种很重要,首先考虑本地树种,它们适应性强,容易成活,然后搭配些观赏植物,比如开花灌木,可以增添色彩,还要注意高低错落,高大乔木提供荫凉,中层灌木丰富层次,低矮花草点缀地面,这样才有立体感。再看布局规划布局影响游园体验,不能随便种,入口处要醒目,可以用特
· 2026-04-04
树害防治,常见问题,实用方法
最近,很多朋友问我,树害怎么防治,其实,树害防治并不难,关键要找准原因,然后对症下药,今天,我就和大家聊聊,树害防治那些事。先看虫害问题,这是最常见的,比如天牛,会蛀空树干,还有蚜虫,会吸食树叶汁液,对付它们,方法有很多,可以喷洒药剂,比如吡虫啉,效果就不错,当然,也可以挂黄板,进行物理诱杀,特别要注意,打药时间要选对,最好在清晨或傍晚。再看病害防治,树木也会生病,比如白粉病,叶子会变白,还有根腐
· 2026-04-04
兰花的栽培技术,掌握关键要点,轻松养出好状态
很多人喜欢兰花,但养起来却总出问题,不是黄叶就是不开花,其实,养兰花没那么难,关键是要懂方法,今天,我们就来聊聊,怎么把兰花养好。先看选对品种很关键新手养兰花,别一上来就挑战名贵品种,可以先从建兰、墨兰开始,这些品种适应力强,相对好养一些,选苗时,要看根系是否饱满,叶子是否挺立有光泽,千万别选那些,叶片发黄或根系干瘪的。再看植料配制是基础兰花是肉质根,最怕积水烂根,所以植料一定要透气,可以用树皮、
· 2026-04-04
覃花怎么养,掌握关键技巧,轻松培育美丽花朵
很多人喜欢覃花,但养起来却有点头疼,其实,养好覃花并不难,关键是要懂方法,今天,我们就来聊聊,怎么把覃花养得又美又健康。先看土壤选择覃花喜欢疏松的土,排水一定要好,你可以用腐叶土,再混点河沙,这样配土,透气又保水,对根系生长很有利,记住,别用黏重的园土,容易闷根。再看光照条件覃花需要阳光,但不能暴晒,最好放在,有明亮散射光的地方,比如东向的窗台,夏天中午,记得要遮阴,不然叶子容易晒伤,光照不足,开
· 2026-04-04
小区公共绿化设计,提升居住品质,打造生态家园
很多人关心小区绿化,其实,绿化设计很关键,它影响着我们的生活,好的设计让人舒心,差的设计让人烦心,今天,我们就来聊聊,小区公共绿化该怎么设计。先看绿化设计的核心目标,绿化不只是种树,它要满足多种需求,比如,美化环境很重要,净化空气也关键,提供活动空间,更是必不可少,所以,设计时要全面考虑。再看植物品种的选择,选对植物很关键,要选本地适生的,这样容易成活,养护也简单,还要考虑四季变化,春天有花,夏天
· 2026-04-04
树蚂蚁防治,找准方法,轻松解决
你是不是也发现,树上爬满了蚂蚁,它们密密麻麻的,看着就心烦,而且,这些小家伙,不光在树上活动,有时还会跑到家里来,确实挺让人头疼的,所以,今天我们就来聊聊,树蚂蚁到底该怎么防治。先看找准蚂蚁的窝防治树蚂蚁,第一步很关键,那就是找到它们的窝,你不能光看到树上有蚂蚁,就急着喷药,因为那可能只是工蚁,真正的蚁后和巢穴,往往藏在别的地方,比如,你可以顺着蚂蚁的路线,仔细观察一下,看看它们从哪里来,又回到哪
· 2026-04-04

