关于 "构树" 的搜索结果

找到相关结果 20

排序方式:
构树病虫害防治方法_构树修剪方法
查看详情
苗木资讯

构树病虫害防治方法_构树修剪方法

病虫害防治1.危害构树的害虫有盗毒蛾、野蚕蛾、桑粒肩天牛。如有盗毒蛾发生,可用黑光灯诱杀成虫,幼虫期用无公害药剂防治,5月上中旬是防治关键期,可选用20%除虫脲悬浮剂7000倍液或1.2%烟参碱2000倍液进行喷洒。如有野蚕...

2025-10-17
查看详情
小构树养花盆
查看详情
苗木资讯

小构树养花盆

小构树(又称小构树、构树)是一种常见的观赏植物,适合盆栽种植。在选择养花盆时,应根据小构树的生长特性来选择合适的盆器。以下是关于小构树养花盆的建议和选择方法:陶盆:透气性好,排水性佳,适合小构树生长。...

2025-11-25
查看详情
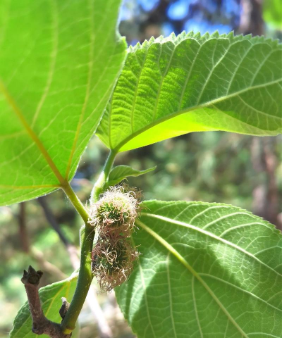
构树分雌雄吗
查看详情
种植科普

构树分雌雄吗

构树是雌雄异株的。换句话说就是有公的构树和母构树。在春天一般看到的树上挂有“毛毛虫”的就是雄性构树开的花序。而雌树会在秋天的时候结出非常漂亮的果实。构树属于构属桑科的落叶灌木,别名楮桃,为强阳性树种。...

2025-10-19
查看详情
构树分雌雄吗
查看详情
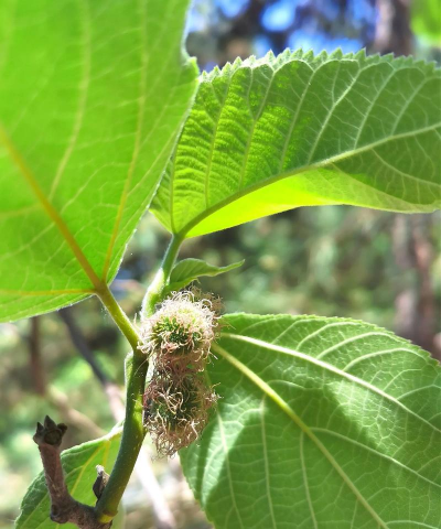
种植科普

构树分雌雄吗

构树是雌雄异株的。换句话说就是有公的构树和母构树。在春天一般看到的树上挂有“毛毛虫”的就是雄性构树开的花序。而雌树会在秋天的时候结出非常漂亮的果实。构树属于构属桑科的落叶灌木,别名楮桃,为强阳性树种。...

2025-11-02
查看详情
构树有毒性吗
查看详情
种植科普

构树有毒性吗

构树没有毒,并且构树还有一定的食用价值。构树又叫做构桃树、构乳树、楮树、楮实子、沙纸树等,树皮平滑,呈浅灰色或浅褐色,枝干含有乳汁,叶片是很好的猪饲料,皮纤维是很好的造纸材料。构树的适应性和生长性很强...

2025-10-17
查看详情
构树是什么树
查看详情
种植科普

构树是什么树

构树是一种落叶乔木,属于桑科构属,别名是构乳树、谷浆树、构桃树、谷木、楮树、沙纸树、楮实子等。构树具有很强的适应能力、速生、耐修剪,易繁殖的特点。构树是强阳性树种,抗逆性强,分布广泛,抗污染强。构树高...

2025-10-18
查看详情
构树是什么树
查看详情
种植科普

构树是什么树

构树是一种落叶乔木,属于桑科构属,别名是构乳树、谷浆树、构桃树、谷木、楮树、沙纸树、楮实子等。构树具有很强的适应能力、速生、耐修剪,易繁殖的特点。构树是强阳性树种,抗逆性强,分布广泛,抗污染强。构树高...

2025-10-29
查看详情
构树籽怎么养花
查看详情
苗木资讯

构树籽怎么养花

构树籽本身并不是一种“花”,而是一种植物的种子,通常指的是构树(Ficus microcarpa)的种子。构树是一种常见的绿化树种,常用于园林绿化、生态修复等。构树籽一般用于制作构树籽茶、食品或作为中药材,而不是用于“养...

2025-11-28
查看详情
构树果实能吃吗
查看详情
种植科普

构树果实能吃吗

构树果实能吃吗构树果实能吃。构树的果实香甜,但是食用的人不多。构树果味道酸甜,吃的时候需除去灰白色膜状宿萼及杂质。构树外貌虽较粗野,但枝叶茂密且有抗性、生长快、繁殖容易等许多优点,果实酸甜,可食用。构...

2025-10-19
查看详情
构树果实能吃吗
查看详情
种植科普

构树果实能吃吗

构树果实能吃吗构树果实能吃。构树的果实香甜,但是食用的人不多。构树果味道酸甜,吃的时候需除去灰白色膜状宿萼及杂质。构树外貌虽较粗野,但枝叶茂密且有抗性、生长快、繁殖容易等许多优点,果实酸甜,可食用。构...

2025-11-02
查看详情
构树果实能吃吗
查看详情
种植科普

构树果实能吃吗

构树果实能吃。构树的果实香甜,但是食用的人不多。构树果味道酸甜,吃的时候需除去灰白色膜状宿萼及杂质。构树外貌虽较粗野,但枝叶茂密且有抗性、生长快、繁殖容易等许多优点,果实酸甜,可食用。构树还是城乡绿化...

2025-10-19
查看详情
构树果实能吃吗
查看详情
种植科普

构树果实能吃吗

构树果实能吃。构树的果实香甜,但是食用的人不多。构树果味道酸甜,吃的时候需除去灰白色膜状宿萼及杂质。构树外貌虽较粗野,但枝叶茂密且有抗性、生长快、繁殖容易等许多优点,果实酸甜,可食用。构树还是城乡绿化...

2025-11-02
查看详情
构树树皮养花
查看详情
苗木资讯

构树树皮养花

构树树皮在养花中有一定的应用,主要体现在其独特的性质和功能上。以下是构树树皮在养花中的常见用途和使用方法:构树树皮富含有机质和微量元素,可以用于制作有机肥料。将其粉碎后,可以撒在花盆周围或直接混入土中...

2025-11-20
查看详情
构树和桑树怎么区分
查看详情
种植科普

构树和桑树怎么区分

从果实上区分:构树,果球形,鲜红色;桑树,果椭圆形,紫黑色(桑葚)。从叶片上区分:构树,两面都有绒毛;桑树,叶表无毛,叶背有毛。分类不同:桑树属桑科桑属,构树为桑科构属。花果期不一样:桑树花期4月,果期5-7...

2025-10-19
查看详情
构树种植技术
查看详情
种植科普

构树种植技术

构树种植技术:造林密度、抚育管理、截干修枝、病虫防治。构树造林不受条件和地形地貌的限制,既可集中连片造林也可见缝插针,在沟、塘、库岸、溪流两侧,房前屋后都可种植。种植密度根据营林目的不同而有差别,一般...

2025-10-18
查看详情
构树种植技术
查看详情
种植科普

构树种植技术

构树种植技术:造林密度、抚育管理、截干修枝、病虫防治。构树造林不受条件和地形地貌的限制,既可集中连片造林也可见缝插针,在沟、塘、库岸、溪流两侧,房前屋后都可种植。种植密度根据营林目的不同而有差别,一般...

2025-10-31
查看详情
构树树皮如何养花
查看详情
苗木资讯

构树树皮如何养花

构树树皮在养花中可以作为天然的有机肥料或土壤改良剂,具有一定的生态价值。以下是构树树皮在养花中的常见应用方式:构树树皮富含有机质,可以作为天然的有机肥料,用于盆栽或园艺种植。使用方法如下:晒干后使用:...

2025-11-26
查看详情
构树花什么季节开花
查看详情
苗木资讯

构树花什么季节开花

构树花通常在春季开花,具体时间因地区和气候条件而异。一般在3月至4月之间,此时气温逐渐回暖,阳光充足,有利于构树花的开放。在温暖地区,开花时间可能稍晚,而在较冷地区则可能较早。构树花为白色,花期较短,通...

2025-11-10
查看详情
构树花什么季节开花
查看详情
种植科普

构树花什么季节开花

构树的花期主要集中在4月至5月,具体时间可能因气候和地区略有差异。以下是相关依据:花期范围:多个来源明确提到构树的花期为4-5月,例如搜狗百科和百度百科均指出其雄花序和雌花序在这一时期开放。雌雄异株特性:构...

2025-11-03
查看详情
构树叶子怎样发酵养花
查看详情
苗木资讯

构树叶子怎样发酵养花

构树叶子可以用于制作堆肥,是一种很好的有机肥料。以下是构树叶子发酵养花的步骤和方法:选择新鲜、无病虫害的构树叶子。可以将叶子剪成小块,便于分解。方法一:自然堆肥法将构树叶子与其他有机废弃物(如菜叶、果...

2025-11-09
查看详情