什么花葡萄
根据搜索结果,以下是与“花葡萄”相关的植物或描述,包括名称、特征及用途:
葡萄风信子这种花因花序密集呈串状,酷似葡萄而得名。它是百合科蓝壶花属的多年生草本植物,花期在春季,花朵多为蓝色或紫色,成串开放,观赏价值高,适合盆栽或庭院种植。其习性强健,耐寒且喜阳光。
紫藤紫藤的花朵呈紫色或深紫色,花序下垂如葡萄串,属于豆科攀援植物。花期春季,常用于园林装饰,兼具药用价值。其果实为荚果,但主要观赏部分为花。
嘉宝果(树葡萄)嘉宝果的果实直接生长在树干上,形似葡萄,紫黑色,味道酸甜。它是桃金娘科植物,原产南美洲,现中国南方也有种植,果实可鲜食且营养丰富,被誉为“水果皇后”。
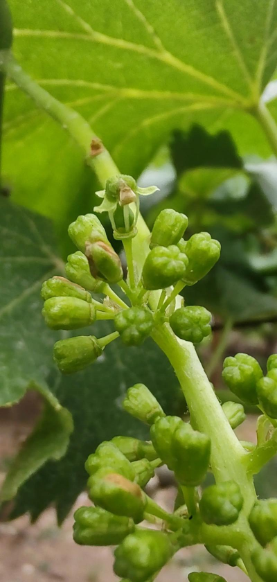
葡萄本身的花葡萄的花为圆锥花序,小花黄绿色,极小且密集,有淡香。花期通常在4-5月,开花后结出球形或椭圆形浆果。
蓝靛果一种忍冬科灌木的果实,蓝色似葡萄,生长于山沟或山坡,可食用且适应力强,但更偏向果实而非典型观赏花。总结:名称中含“葡萄”或形态类似葡萄的花卉主要包括葡萄风信子、紫藤和嘉宝果,而葡萄本身的花则较小且不显眼。若需进一步了解某一种类,可参考具体来源。
花箱怎么种植好看
花箱种植需综合考虑植物选择、花箱设计及养护管理,具体步骤如下:材质与尺寸选择透水性好、轻便耐用的材质(如塑料、陶瓷或木质),确保底部有排水孔。尺寸需根据植物种类和数量调整,避免过小限制根系生长或过大浪费资源。排水系统 底部铺设碎石、砾石或
· 2025-10-27
大蒜种植记录怎么写
大蒜种植记录表需包含种植前准备、播种过程、生长观察及后期管理等内容,具体可参考以下要点:基本信息标题:大蒜种植观察记录表 观察者信息:姓名、班级、种植日期地理位置:种植区域(如阳台、菜园)种植前准备蒜种选择:记录蒜种来源、丰产性及抗逆性
· 2025-10-27
驱蚊虫花卉怎么种植
驱蚊花卉的种植需结合植物特性选择合适品种,并注意养护要点。以下是具体方法:一、推荐种植的驱蚊花卉及要点驱蚊草(香叶天竺葵
· 2025-10-27
阳台草莓怎么种植养护
在阳台上种植和管理草莓需要综合考虑品种选择、土壤配置、光照浇水、施肥修剪等关键环节。以下是具体步骤和注意事项:品种推荐:适合阳台种植的品种包括四季草莓(如“红颜”“章姬”)、白草莓(如“白雪公主”)或抗病性强的品种(如“丰香”)。四季草莓可
· 2025-10-27
石斛兰怎么种植方法
石斛兰的种植与养护指南石斛兰(又名吊兰花、金钗石斛)是一种观赏价值极高的兰科植物,以其优雅的花姿和艳丽的花色深受喜爱。以下是根据专业资料整理的种植技术要点,帮助您成功栽培石斛兰。基本特性与生长环境石斛兰为多年生草本植物,原产于我国华南、西南
· 2025-10-27
什么兰花小
小兰花可能指以下三种常见兰花,具体需结合养护场景判断:圆叶匙唇兰特点 :迷你附生兰,植株矮小(1-3厘米),叶片黑绿色且具皱纹,花朵细小精致,多为紫粉色。养护 :喜明亮散射光,避免强光直射,适合小型容器或生态瓶种植。小神童特点 :大花蕙兰与
· 2025-10-27
李子种子怎么种植方法
种植李子需要综合考虑园地选择、品种搭配、栽培管理、病虫害防治等多个环节。以下是基于最新栽培技术的详细步骤和要点:选址要求:选择地势高燥、向阳背风、土层深厚(至少1米)、排水良好的沙壤土或砾石土,避免低洼积水地或刚种过李、桃、杏的土壤(需间隔
· 2025-10-27
种水果怎么种植方法
种植水果需要综合考虑品种选择、土壤条件、气候适应性、栽培技术及后期管理等多个环节。以下是基于最新农业实践的详细指南:品种与气候匹配选择适合当地气候的品种是关键。例如,热带地区适合香蕉、芒果(需温暖湿润),温带地区适合苹果、梨(需冬季低温)。
· 2025-10-27
攀枝花有哪些职高
以下是攀枝花市主要的职业中学(职高)及相关信息,综合了多份来源的搜索结果:攀枝花市第一职业中学历史悠久的公办职业学校,注重实践操作和职业素养培养,专业包括机械制造、电子技术、酒店管理等,师资力量雄厚。攀枝花市第二职业中学知名公办学校,专业涵
· 2025-10-27
阳光玫瑰葡萄的介绍
阳光玫瑰葡萄原产地在欧洲,是欧美杂交种。由日本农业与食品产业研究所用安芸津21与白南杂交选育,主要产地在我国新疆、陕西、甘肃、宁夏、江苏、云南、广西等地区。该品种较易栽培,挂果期长,成熟后可以在树上挂果长达2~3个月;不裂果,耐贮运,无脱粒
· 2025-10-27

