蝴蝶兰什么肥料最好
根据视频文本,蝴蝶兰最好使用的肥料是水溶性肥料,不建议使用颗粒肥。具体可以使用以下几种肥料:
花多多一号
花多多二号
磷酸二氢钾
浓缩型营养液
使用这些肥料时,应注意每次只使用一种,并且最好是一次肥料后接一次清水,轮流交替使用。在生长期间可以使用花多多一号或营养液,而到了秋季天气较凉爽时,可以改用花多多二号或磷酸二氢钾。
根据视频文本,蝴蝶兰最好使用的肥料是水溶性肥料,不建议使用颗粒肥。具体可以使用以下几种肥料:
花多多一号
花多多二号
磷酸二氢钾
浓缩型营养液
使用这些肥料时,应注意每次只使用一种,并且最好是一次肥料后接一次清水,轮流交替使用。在生长期间可以使用花多多一号或营养液,而到了秋季天气较凉爽时,可以改用花多多二号或磷酸二氢钾。
菩提树怎么养才长得好
菩提树是很受欢迎的室内外盆景,养护菩提树也是很重要的,在正确的养护方案下,菩提树才能生长健康发达。首先我们要给菩提树提供足够的光照,尽量把它安放在接受充沛阳光的地方,但是也不要把它放在有烈日直射的地方,以防灼伤叶片。其次,菩提树要有足够的湿
· 2025-11-04
用什么来养玫瑰花
根据搜索结果,玫瑰花的养护需要综合考虑土壤、光照、浇水、施肥等多个因素,以下是最佳养护方法的总结:玫瑰花对土壤的适应性较强,但以疏松、肥沃、排水良好的中性或微酸性沙质壤土为最佳。盆栽时可用腐叶土、园土、河沙按比例混合(如1:1:1),或加入
· 2025-11-04
丝状花植物有哪些
以下是具有丝状花瓣或花丝特征的植物,综合了多个来源的信息,涵盖观赏、野生及园艺品种:金丝桃的花瓣为金黄色,雄蕊花丝细长如金丝,聚集成束,阳光下熠熠生辉,被称为“金丝蝴蝶”。其花型独特,常用于园林观赏。合欢花的花丝呈粉红色或白色,簇集成绒球状
· 2025-11-04
绿萝有什么品种的
绿萝的品种丰富多样,根据叶片颜色、斑纹和形态的不同,可分为以下几类:特征:叶片为纯净的青绿色,无斑纹或杂色,是最常见的品种,适应性强,适合室内养护。用途:广泛用于家居、办公室装饰,营造宁静自然的氛围。特征:叶片呈浅金黄色,较薄,整体色调明亮
· 2025-11-04
萝卜十月份能不能种了
萝卜是十月份也是可以种植的,大家都知道萝卜是一种夏秋二季植物,有蔬菜和火腿的特点,可以满足人们营养的需要。种植萝卜的时机也是十分重要的,十月是萝卜的最佳播种期,适宜播种的地区也是十分重要的,十月是南方地区的播种期,在北方地区,九月底开始播种
· 2025-11-04
清花瓷器有哪些
清代的花瓷器种类丰富,以釉彩和装饰技法为特色,主要包括以下几类:特点:粉彩瓷是清代釉上彩的代表,以玻璃白打底,色彩柔和粉润,层次分明。雍正时期达到顶峰,纹饰以花蝶、牡丹、月季等为主,并常采用“过枝”技法(如枝干从器外延伸至器内)。代表作品:
· 2025-11-04
落叶松的特点
落叶松是一种经典的松树,自然富有灵性,可以说是所有松科植物类别中的一份子,落叶松拥有很多特征,它是一种特殊的植物,具有多种营养价值和美感,下面我们来了解落叶松的特点:一、外观特征落叶松的形态特征很引人注目:树干一般为细长,而且非常有梯度,中
· 2025-11-04
落叶植物与常绿植物的叶片有哪些区别
落叶植物和常绿植物叶片有其显著的差异,主要体现在外观、结构和生态功能上。一、外观不同落叶植物叶片具有较多的色彩变化,如木兰牡丹等,夏天是绿色的,但秋季会变成黄色、橙色、红色等多种色彩,极其生动;而常绿植物的叶片主要是绿色的,一般不会随着季节
· 2025-11-04
辣椒盆栽为什么容易干枯
辣椒盆栽容易出现干枯现象,通常是由多种因素共同作用导致的,包括水分管理不当、环境条件不适、病虫害侵袭以及栽培技术问题等。以下是具体原因及对应的解决方法:浇水不足或过度:辣椒对水分敏感,长期干旱会导致叶片萎蔫、干枯;而浇水过多则会造成根系缺氧
· 2025-11-04
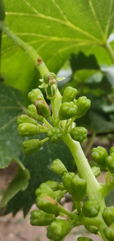
葡萄会开花吗
葡萄会开花,这是一个古老而广泛存在的问题,它一直挥之不去为了回答这个问题,让我们先来了解一下葡萄树是怎样生长的。葡萄树需要生长在温暖的气候中,在土壤中有足够的养分。它们有时需要定期施肥和施水,以帮助它们生长和结果。葡萄树的光照和温度也不宜太
· 2025-11-04


